![]()
![]()
建築家が建てる狭小中庭住宅の平面プランができるまで。
(3ページに渡って解説しています。)
建物配置 決定案
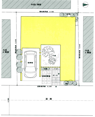
配置図は、敷地に建物がどう配置されているかを示すばかりではなく、
近隣の家(環境)や道路(地域)とどう関わっているかを示す大事な図面です。

配置図には、隣地境界と建物の関係、植栽や道路から玄関までの導入の経路、そして道路とガレージとの関係などが明示されます。
(ガス、水道、排水桝、メーター類、散水栓、給排水経路、植栽等はは別に給排水図や外構図面で表現します。)
上記の図面とキャプションは、私の設計コンセプトとお客様の要望事項を踏まえた上で、設計に盛り込んだことを簡単に文章にして載せています。
決定稿からみる平面プランについて
平面図 決定案
平面プラン 決定までは 私の事務所では3案ほど提案し、どれかに絞るのではなく、それぞれいい部分を取り入れながら修正と検討を重ね、ベストのプランを導き出します。
断面図
断面図 建物の断面を見た時、黒い断面の部分が少なければ少ないほど空間を大切に使い、資材を有効に使っているといえます。
断面を見ても分かるように、4層分の床がありますが、建築確認申請では2階建ての申請です。
定められた法規制の1.5倍以上の床面積が確保されています。 狭い敷地に限らず様々な設計の工夫をすることによって気持ちに余裕が出来る、豊かな空間を創る事ができます。
平面から見る暮らし
この回は平面プランからどんな暮らしが見えてくるのかを考えます。規格住宅のように簡単に決められるものではありません。
平面プランは深く読み取ると、建て主の長年の様々な希望や夢と、設計者の住まいに対する思想性と思いが込められているといえるのです。
中庭の平面プランがで...



















